
Photo: John Value
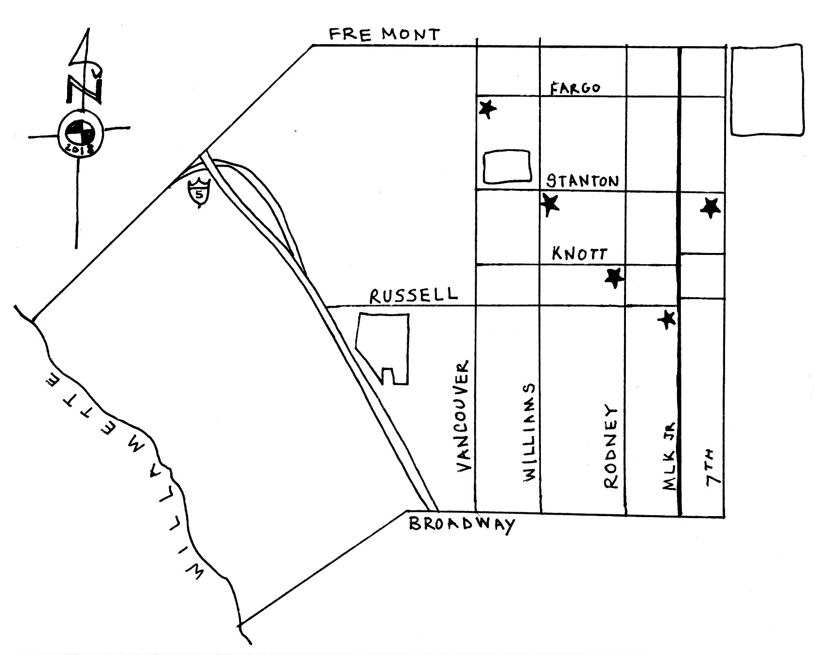
Churches are benchmarks of communities. Inherent in every church is a sense of community. Through learning the histories of the churches in our neighborhood we can learn the history of our neighborhood. We can also see the way things have changed and plan for our future. More than 20 churches rest within and just beyond the Eliot boundaries. These are a few of them.
Vancouver Ave Baptist – Fargo & Vancouver. Sunday 10:45 am.
With roots in World War II-era federal housing, this church found its current home in 1950, purchased from a Scandinavian congregation. A building and community with so much history needs someone like Raymond Burelle III, a third-generation member who dedicates himself as the church historian. Burelle published a book with many photos outlining 65 years of the church as a hub of African American spirituality, education and community, which includes a visit from Martin Luther King Jr.
The Refuge – Stanton & Williams. Sunday 5:30pm.
When Pastor Adrian Jordan relocated from Oklahoma in 2015, he wanted to start a church that was different. Worship services are intimate, with a few people and are held in his home. Every Tuesday he hosts baked potato dinners across the street at Dawson Park. The members are easy to spot in turquoise T-shirts printed with their mission statement “We love people, period.” You can also find Refuge members dressed as T-Rexes roaming Broadway Ave. with free coffee coupons and conversation.
St. Philip the Deacon Episcopal – Knott & Rodney. Sunday 10:00 am.
This church was built in 1945. Margaret Heil first attended in 1964, where she says she was one of the first “European” members. She was welcomed into leadership roles in the church, which she had been excluded from at previous churches. For the past 12 years members of this church have cooked and served hot meals for up to 80 people each Saturday. The congregation is welcoming a new part-time pastor this
New Song Community – Russell & MLK Jr. Sunday 10:00 am.
New Song was founded on 82nd Street in the late 70’s. The worship service which blended black gospel and contemporary music struck the right chord for people of many ethnicities and still does. Pastor Chuck Lindholm moved with the congregation into the current building 20 years ago. The church has welcomed many other like-minded organizations to share its parking lot and building. Pastor Lindholm recently opened the church’s doors for the funeral of a gang-member, whose family was not welcomed elsewhere.
Northeast Community Fellowship – Stanton & 7th. Sunday 10:00am.
Pastor George Merriweather became Foursquare Church’s first African American full-time pastor in the late 80’s. In 1992, with the support of the church, he purchased the old Ebenezer German church and began on his own. As a young man, he remembers playing basketball in Irving Park and first seeing the church he now calls home. He said, “God, if I ever lead a church I would like to lead in this building.
By Ruth Eddy

